-
오랜경험과 노련한 포인트 공략으로 즐거운 출조를 약속드립니다!
-
소중한 시간, 아름다운 추억을 비너스호와 함께 즐기세요.








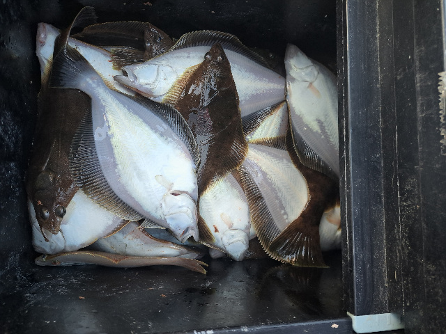
성복호 어구가자미 조황 입니다
요즘 조사님들이 세꼬시랑 불리해서 담아오십니다
조과는 좋습니다
내일 성복호 내일 1자리 펑크났습니다
어구가자미 출조 예약받습니다
일요일 비너스호 어구가자미 단체 펑크났습니다
어구가자미 어군도 가득하고 줄줄이 올라옵니다
전화주세요
**010-8631-7880
궁금하신분들 전화주세요
낚시배 및 항구 사무실에 라면등 약간의 간식거리를 준비했습니다.
비너스호,성복호는 매일매일 출조합니다
22년 4월 1일부터 예약은 홈페이지에서만 받습니다.
홈페이지에 예약하시고 선비 100% 입금하시면 예약 확정됩니다.
선상에서 좋은추억을 만들어 보세요
** 환불 조건 - 출항 2일전까지 예약 취소하시면 전액 환불조치 하겠습니다.
출항 전날취소는 환불이 안돼니 참고하시고 예약취소시에는 반드시 3일전에
연락주시기 바랍니다.
밴드 가입하시면 예약현황 ,실시간으로 조황사진을 볼수있습니다
※ 블 로그 성복호 비너스호 : 네이버 블로그 (naver.com)
※ 낚시밴드 https://band.us/n/aeaa33s9l6d6G
주소: 강원도 고성군 죽왕면 공현진해변길62-2 ( 공현진리 431-26)
낚시대대여 : 2만원
•강원도고성 •성복호 , 비너스호
•무늬오징어 •문어낚시, 왕대구 . 어구가자미