• 오랜경험과 노련한 포인트 공략으로 즐거운 출조를 약속드립니다!
  • 소중한 시간, 아름다운 추억을 비너스호와 함께 즐기세요.

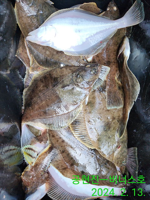
21인승 비너스호 , 성복호 어구가자미조황

















 

바람이 너무거칠어 낚시하기가 힘들었습니다

조과차이도 많이났습니다

모르겐, 하야부사 준비해오시면 더욱 좋습니다

일반채비보다  더 입질이 활발합니다 


일부사진만올립니다 사진을 많이 못찍었습니다


내일  비너스호 자리있습니다


2/월 19일  성복호 왕대구 출조예약받습니다 


  전화주세요


**010-8631-7880


성복호 새로 건조해서 왔습니다  


홈페이지 http://www.비너스호.kr


낚시배 및 항구 사무실에 라면등 약간의 간식거리를 준비했습니다.

비너스호,성복호는 매일매일 출조합니다

22년 4월 1일부터 예약은 홈페이지에서만 받습니다.

홈페이지에 예약하시고 선비 100% 입금하시면 예약 확정됩니다.

선상에서 좋은추억을 만들어 보세요

 

** 환불 조건 - 출항 2일전까지 예약 취소하시면 전액 환불조치 하겠습니다.

출항 전날취소는 환불이 안돼니 참고하시고 예약취소시에는 반드시 3일전에

연락주시기 바랍니다.

 

밴드 가입하시면 예약현황 ,실시간으로 조황사진을 볼수있습니다


※ 홈페이지 http://www.비너스호.kr

※ 블 로그 성복호 비너스호 : 네이버 블로그 (naver.com)

※ 낚시밴드 https://band.us/n/aeaa33s9l6d6G


주소: 강원도 고성군 죽왕면 공현진해변길62-2 ( 공현진리 431-26)


낚시대대여 : 2만원


•강원도고성 •성복호 , 비너스호

•무늬오징어 •문어낚시, 왕대구  . 어구가자미

captcha
자동등록방지 숫자를 순서대로 입력하세요.

조황정보

공지 성복호 어구가자미 쿨러대박 2/18 비너스호 02-19 1,965