-
오랜경험과 노련한 포인트 공략으로 즐거운 출조를 약속드립니다!
-
소중한 시간, 아름다운 추억을 비너스호와 함께 즐기세요.




















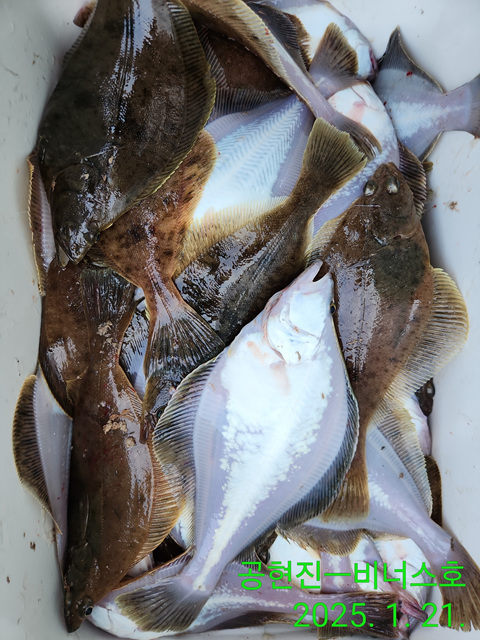
어구가자미가 많이 나오고 있습니다
명절이 얼마 남지않았습니다
가자미 많이나올때 세꼬시랑 구이용을 잡아가서 가족들과 맛나게
드실분 어른 와서 잡아가세요
점심( 만원 제외 )
선비 9만원 입금 시켜 주시면 됩니다
전화주세요
**010-8631-7880
궁금하신분들 전화주세요
홈페이지 http://www.비너스호.kr
낚시배 및 항구 사무실에 라면등 약간의 간식거리를 준비했습니다.
비너스호,성복호는 매일매일 출조합니다
22년 4월 1일부터 예약은 홈페이지에서만 받습니다.
홈페이지에 예약하시고 선비 100% 입금하시면 예약 확정됩니다.
선상에서 좋은추억을 만들어 보세요
** 환불 조건 - 출항 2일전까지 예약 취소하시면 전액 환불조치 하겠습니다.
출항 전날취소는 환불이 안돼니 참고하시고 예약취소시에는 반드시 3일전에
연락주시기 바랍니다.
밴드 가입하시면 예약현황 ,실시간으로 조황사진을 볼수있습니다
※ 홈페이지 http://www.비너스호.kr
※ 블 로그 성복호 비너스호 : 네이버 블로그 (naver.com)
※ 낚시밴드 https://band.us/n/aeaa33s9l6d6G
주소: 강원도 고성군 죽왕면 공현진해변길62-2 ( 공현진리 431-26)
낚시대대여 : 2만원
•강원도고성 •성복호 , 비너스호
•무늬오징어 •문어낚시, 왕대구 . 어구가자미